Янгиликлар
Ғўза зараркунандалари 50-75 фоизгача ҳосилни камайишига сабаб бўлади. Баҳорда ғўза ниҳолларини ўсув нуқтаси ва барг ширасини сўриб, ниҳолларни ўсишини 2 ҳафтагача орқага суради.
Туман ҳокими И.Саттаров бошқариб борган сессия ишида дастлаб Суд-ҳуқуқ масалалари ва коррупцияга қарши курашиш бўйича доимий комиссияси раиси
Маҳаллаларда ёшларга оид давлат сиёсатини амалга ошириш борасидаги ишларни такомиллаштириш, ёшлар тарбиясида кекса авлод вакилларини жалб этиш, бу борада уларининг бой ҳаётий тажрибаларидан кенг фойдаланиш, нуронийлар ва фахрийларнинг ижтимоий фаоллигини ошириш, ёшлар билан ишлашда маҳаллалар ҳамда ваколатли муассаса ва ташкилотлар ўртасида ҳамкорлик тобора кучаймоқда.
Ижтимоий тармоқларда Наманган вилояти Чортоқ туманида кесарча кесиш амалиёти ўтказилган аёл қорнида тиббий дока ва резина қўлқоп қолиб кетгани ҳақида хабарлар тарқалди.
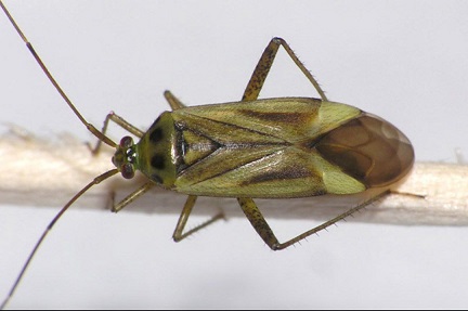
Қандалалар ёки яримқаттиқ қанотлилар (Himiptera) туркумининг миридлар (Miridae) оиласига мансуб ҳашаротлар. Бу қандала бедага ёш пояларнинг учлари, барг бандлари, айниқса, гул ва ғунчалардаги ширани сўриш йўли билан зарар етказади.










